fr

Votre recherche

Somain (59490)

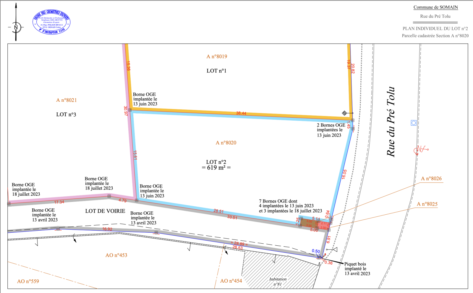
SOMAIN- PROXIMITÉ FENAIN, DOUAI ...TERRAIN CONSTRUCTIBLE (Lot n°2 sur la photo)-619 m2

57 000 €
Ref : 253
Découvrir le bien

SOMAIN- PROXIMITÉ FENAIN, DOUAI ...TERRAIN CONSTRUCTIBLE (Lot n°2 sur la photo)-619 m2

Sur la commune de SOMAIN, côté FENAIN, à 20 Kms de DOUAI, 14 kms de DENAIN, 5 kms de MARCHIENNES, à proximité des axes autoroutiers, commerces, écoles ..... je vous propose de venir découvrir ce terrain constructible avec une belle exposition, d'une superficie de 619 m2.

Détails de la parcelle:

Terrain accessible directement par la rue donc frais de viabilisation limités !, façade 16,05 m, profondeur de plus de 28 m, terrain borné, exposition Ouest, environnement calme, dégagé et verdoyant. Domaine récent et très agréable.

Que vous soyez à la recherche d'un terrain pour une construction familiale ou un plain pied, n'hésitez plus et venez découvrir ce terrain !

Annonce proposée par un agent commercial

TRAD_ZEPHYR_Caracteristique TRAD_ZEPHYR_Valeurs
Code postal 59490
surface terrain 619 m²
Terrain constructible OUI
TRAD_ZEPHYR_Caracteristique TRAD_ZEPHYR_Valeurs
Exposition Ouest
Terrain Viabilisé NON
TRAD_ZEPHYR_Caracteristique TRAD_ZEPHYR_Valeurs
Prix de vente honoraires TTC inclus 57 000 €
Contacter pour ce bien
L'agent
SERRURIER Flavie Mandataire Douai (59500)
Téléphone 0611015905

* Champ obligatoire

Les informations recueillies sur ce formulaire sont enregistrées dans un fichier informatisé par La Boite Immo agissant comme Sous-traitant du traitement pour la gestion de la clientèle/prospects de l'Agence / du Réseau qui reste Responsable du Traitement de vos Données personnelles.
La base légale du traitement repose sur l’intérêt légitime de l'Agence / du Réseau.
Elles sont conservées jusqu'à demande de suppression et sont destinées à l'Agence / au Réseau.
Conformément à la loi « informatique et libertés », vous pouvez exercer votre droit d'accès aux données vous concernant et les faire rectifier en contactant l'Agence / le Réseau.
Si vous estimez, après avoir contacté l'Agence / le Réseau, que vos droits « Informatique et Libertés » ne sont pas respectés, vous pouvez adresser une réclamation à la CNIL.
Nous vous informons de l’existence de la liste d'opposition au démarchage téléphonique « Bloctel », sur laquelle vous pouvez vous inscrire ici : https://www.bloctel.gouv.fr 
Dans le cadre de la protection des Données personnelles, nous vous invitons à ne pas inscrire de Données sensibles dans le champ de saisie libre
Ce site est protégé par reCAPTCHA, les Politiques de Confidentialité et les Conditions d'Utilisation de Google s'appliquent.

Découvrir nos outils